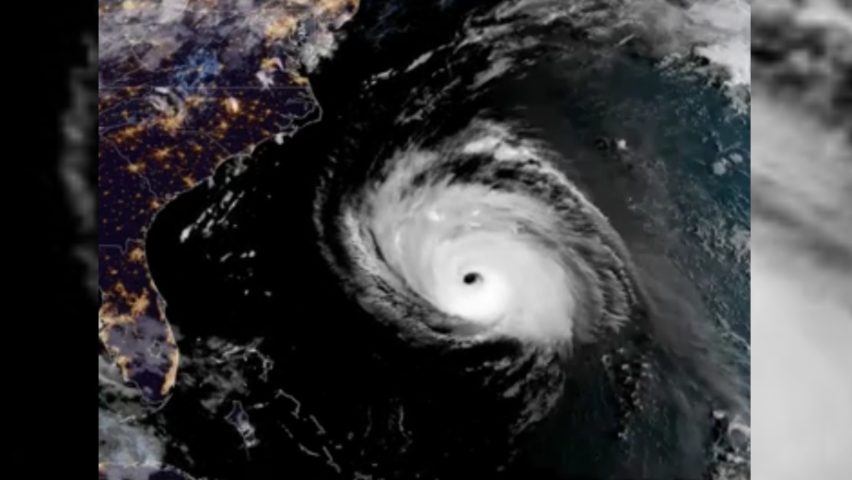
L'enorme vortice visto dallo spazio: il devastante uragano Florence
pubblicato il 13 settembre 2018 alle ore 10:51
L'uragano Florence si dirige verso il North e South Carolina: venti a 180 km/h, piogge intense a carattere tempestoso
mostra altro
altro di ViralVideo
-
3:45 Una giovanissima Angelina Mango canta insieme al padre al Teatro Stabile di Potenza
18101 VISUALIZZAZIONIViralVideo -
2:21 Cantante lirica canta l'Ave Maria: la sua versione mette i brividi
1047 VISUALIZZAZIONIViralVideo -
0:25 Il gatto mangia il suo pranzo ma viene "umiliato"
889 VISUALIZZAZIONIViralVideo -
1:04 Un cane sta congelando durante la tempesta di neve: un uomo si priva della sua giacca per riscaldarlo
499 VISUALIZZAZIONIViralVideo -
0:22 Sotto il piano di lavoro della cucina c'è un passaggio "segreto": la scoperta è inquietante
514 VISUALIZZAZIONIViralVideo -
1:58 "C'è una sorpresa anche per voi", cani abbandonati scelgono il loro regalo di Natale
235 VISUALIZZAZIONIViralVideo -
0:43 Le miss sfilano ma il ponte sospeso si rompe facendole cadere giù
461 VISUALIZZAZIONIViralVideo -
3:39 Le telecamere nascoste nel parco catturano uno spettacolo naturale mozzafiato
364 VISUALIZZAZIONIViralVideo -
0:11 "Cadavere" di un topo a misura d'uomo ritrovato nelle fogne: poi si scopre di cosa si tratta
781 VISUALIZZAZIONIViralVideo -
0:56 Due uomini salvano una tartaruga dalle fauci di uno squalo tigre affamato
386 VISUALIZZAZIONIViralVideo -
1:08 Entra nel bar con lo strumento perfetto per consumare la colazione da asporto
657 VISUALIZZAZIONIViralVideo -
1:56 Milano, si accende l'albero in piazza Duomo
410 VISUALIZZAZIONIViralVideo -
2:19 La ragazza sfida lo youtuber che pesa 240 kg e lo mette KO
3238 VISUALIZZAZIONIViralVideo -
3:08 È al nono mese di gravidanza, tra poco sarà mamma ma non vuole smettere di ballare
1542 VISUALIZZAZIONIViralVideo -
0:23 Il ciclista esulta prima del traguardo e cade rovinosamente
534 VISUALIZZAZIONIViralVideo -
0:52 All'improvviso un'enorme pinna spunta fuori mentre sono in kayak
1072 VISUALIZZAZIONIViralVideo















